Внимание! В субботу изменится схема движения на Киевской!

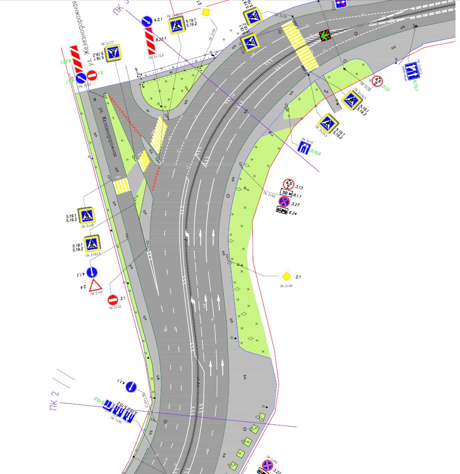
В субботу, 9 сентября, изменится схема дорожной разметки, предусмотрен левый поворот с ул.

В субботу, 9 сентября, изменится схема дорожной разметки, предусмотрен левый поворот с ул. Киевской на ул. Железнодорожную с трамвайных путей и запрещен левый поворот с ул. Железнодорожной на ул. Киевскую возле управления КЖД.

Выезд на ул. Киевскую, согласно дорожным знакам и разметке – правым поворотом, далее по площади Калинина в объезд «Вкусно и точка» по Железнодорожной.

Изменение схемы вводится в соответствии с постановлением об утверждении перечня аварийно-опасных участков дорог и первоочередных мер, направленных на устранение причин и условий совершения дорожно-транспортных происшествий на автомобильных дорогах общего пользования в границах городского округа «Город Калининград», на 2023 год.

Последние новости

Что банк о вас знает: как формируется кредитная история и можно ли ее исправить

Всё, что вы хотели узнать о своей кредитной репутации, но не решались спросить у банкира

Как выбрать дверь для бани: преимущества разных моделей

Двери Arta сочетают безопасность, устойчивость к температурам и эстетику. Советы по выбору идеальной двери для вашей парной.

Сила тишины: почему уединение становится трендом нового времени

Узнайте, как кратковременное уединение помогает снизить тревожность, перезагрузить сознание и укрепить эмоциональное здоровье.

Коррекция фиброза и возрастных изменений: когда показан эндотканевой лифтинг

Как современная технология помогает вернуть коже упругость, убрать отёки и улучшить рельеф без хирургии

На этом сайте вы сможете узнать актуальные данные о погоде в Губкине, включая прогнозы на ближайшие дни и часы

Комментарии (0)

Добавить комментарий

Ваш email не публикуется. Обязательные поля отмечены *